family CERAMBYCIDAE Latreille, 1802
subfamily CERAMBYCINAE Latreille, 1802
tribe Stenhomalini Miroshnikov, 1989
genus Stenhomalus A. White, 1855
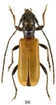
Stenhomalus bicolor (Kraatz, 1862)
subgenus Obriopsis G. Müller, 1948

Velikost 4-5,5 mm.
Bionomie. Lesostepi, okraje prosvětlených, převážně dubových porostů s keřovým podrostem. Podle Kubáně a dalších vývoj larev probíhá ve slabých větvičkách oslabených, dosud stojících dřevin o průměru cca 10 mm. Podle Kautmana jsou imaga vylíhlá již na podzim, při časných zimách až na jaře. - Imaga se vyskytují od V. do počátku VI. též na květech, zejména Crataegus.
Živné rostliny - Euonymus; dále se uvádí např. Rhamnus, Crataegus, Ficus, Morus, Juglans.